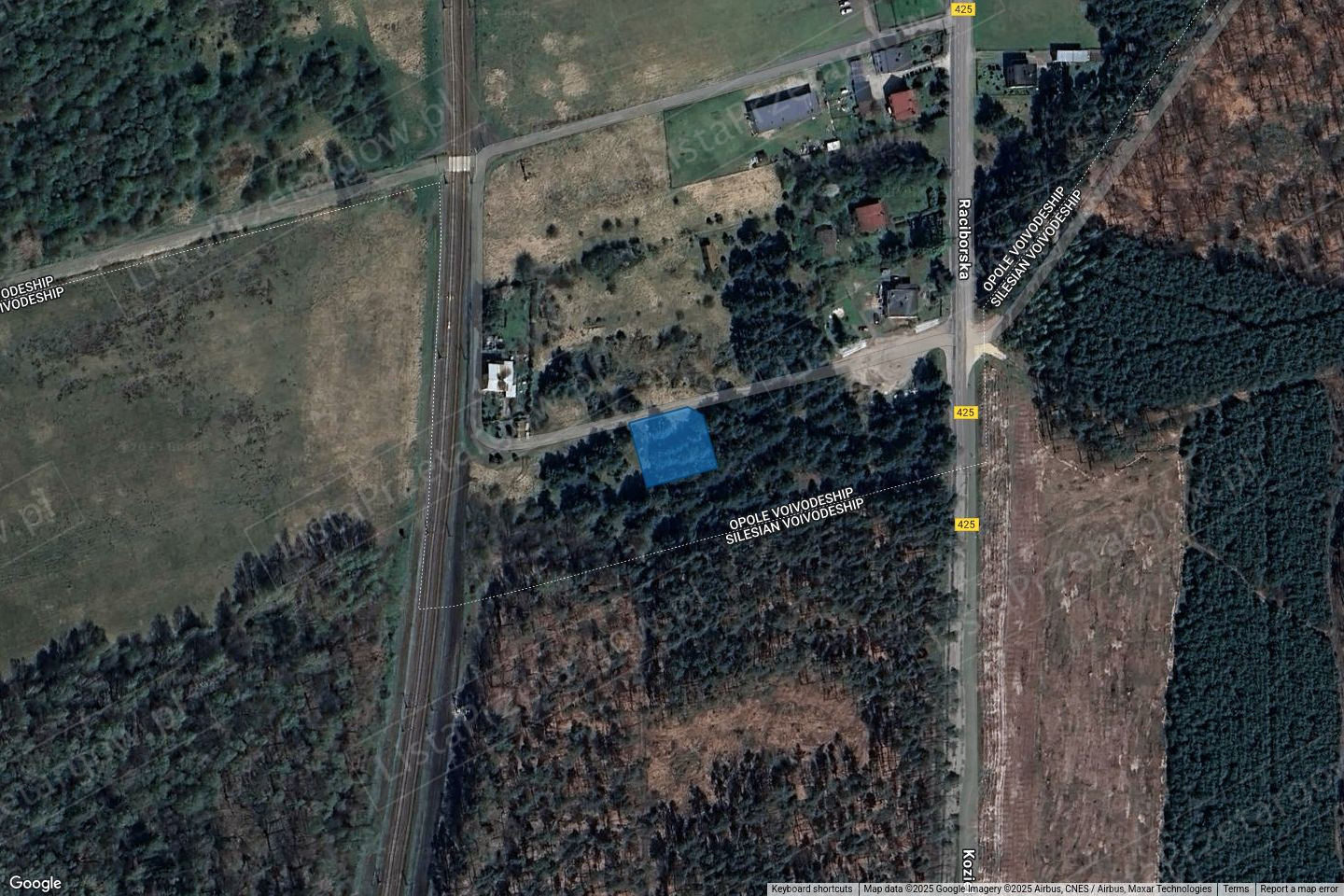
Solarnia, opolskie

73 000 zł | Działka | 0.0804 ha.

Szczegóły

Oferta przeterminowana

  • Cena: 73 000 zł
  • Miasto: Solarnia
  • Powierzchnia: 0.0804 ha
  • Województwo: opolskie
  • Liczba działek: 1
  • Numery działek: 160302_2.0109.439/2,
  • Cena za m2: 91 zł
  • Ulica:
  • Tryb sprzedaży: Przetarg
  • Wadium: 7 300 zł
  • Numer oferty: 472046X1105531735
  • Termin wpłaty wadium: 04-12-2025 - Co to znaczy?

Szczegóły

Wójt Gminy Bierawa
w dniu 28 października 2025 r. ogłasza
trzeci ustny przetarg nieograniczony na sprzedaż niezabudowanej nieruchomości gruntowej, stanowiącej własność Gminy Bierawa
1. Opis nieruchomości:
Nieruchomość gruntowa niezabudowana: działka nr 439/2 ark. m. 1 obręb Solarnia o powierzchni 0,0804 ha. Działka w ewidencji gruntów oznaczona symbolem Bz, jako tereny rekreacyjno-wypoczynkowe. Księga wieczysta nr XXXX/XXXXXXXX/X.

Cena nieruchomości: 73 000 zł brutto

Termin i miejsce przetargu: 09.12.2025 r. godz. 900, sala posiedzeń Urzędu Gminy Bierawa ul. Wojska Polskiego 12, pok. nr 24.

Image things

Kędzierzyn-Koźle, opolskie

144 750 zł | Mieszkanie | Kawalerka | 39,34 m2 | 3 piętro

  • cena: 144 750 zł
  • 3 679 za m2
Image things

Kędzierzyn-Koźle, opolskie

80 000 zł | Działka | 0.0967 ha.

  • cena: 80 000 zł
Image things

Prudnik, opolskie

119 500 zł | Działka | 0.064 ha.

  • cena: 119 500 zł