Wysoka, lubuskie

73 820 zł | Działka | 0.1096 ha.

Szczegóły

Oferta przeterminowana

  • Cena: 73 820 zł
  • Miasto: Wysoka
  • Powierzchnia: 0.1096 ha
  • Województwo: lubuskie
  • Liczba działek: 2
  • Numery działek: 080302_5.0016.69/2, 080302_5.0016.,
  • Cena za m2: 67 zł
  • Ulica:
  • Tryb sprzedaży: Licytacja komornicza
  • Wadium: 10 546 zł
  • Numer oferty: 465502X1090205687
  • Termin wpłaty wadium: 04-11-2025 - Co to znaczy?

Opis

Szanowni Państwo,
informuję o drugiej licytacji nieruchomości, położonej w miejscowości Wysoka,
w gminie Międzyrzecz, stanowiącej własność
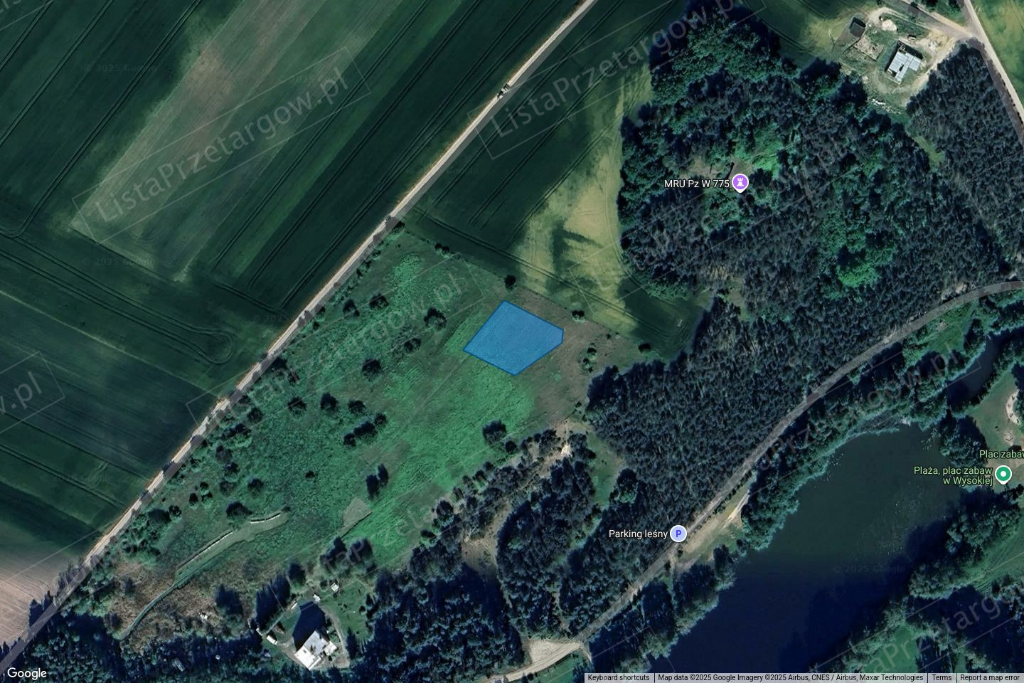
Przedmiotem licytacji jest nieruchomość gruntowa niezabudowana oznaczona numerem
ewidencyjnym: 69/2 o powierzchni 0,1096 hektara wraz z udziałem 1/7 do wydzielonej działki
nr 69/7, stanowiącej drogę wewnętrzną o powierzchni 0,2294 hektara.
Nieruchomość położona jest na terenie, dla którego nie obowiązuje miejscowy plan
zagospodarowania przestrzennego. Według ewidencji gruntów działka oznaczona jest jako grunty
orne.
Przed wydzieleniem działki 69/2, dla działki 69 Burmistrz Międzyrzecza 24 września 2021 roku
wydał decyzję nr 91/2021 o ustaleniu warunków zabudowy dla inwestycji polegającej na budowie
pięciu budynków mieszkalnych jednorodzinnych wraz z infrastrukturą techniczną.
Działka gruntu numer 69/2 nie jest fizycznie wydzielona, wraz z pozostałymi działkami stanowi
jeden teren ogrodzony siatką metalową.
Działka 69/2 jest niezagospodarowana, porośnięta dziką roślinnością trawiastą. Działka o kształcie
zbliżonym do prostokąta. Teren z niewielkim spadkiem w stronę wschodnią. Nie posiada
uzbrojenia.
Najbliższe otoczenie działki to grunty rolne, leśne i jezioro.
Dla nieruchomości Sąd Rejonowy w Międzyrzeczu V Wydział Ksiąg Wieczystych prowadzi księgę
wieczystą numer XXXX/XXXXXXXX/X.
Termin
5 listopada 2025 roku, godzina 10:30
Miejsce
Urząd Skarbowy w Międzyrzeczu przy ul. Rynek 12, pokój nr 7
Wartość szacunkowa nieruchomości
105 457,00 zł
Cena wywoławcza
73 819,90 zł to jest 70% sumy oszacowania
Wadium
10 545,70 zł
Wadium proszę wpłacić na rachunek bankowy organu egzekucyjnego
numer 15 1010 1704 0045 9013 9120 0000.
W opisie przelewu należy umieścić treść: wadium do XXXX/XXXXXXXX/X – działka 69/2.

Image things

Radowice, lubuskie

147 600 zł | Działka | 0.7944 ha.

  • cena: 147 600 zł
Image things

Kruszyna, lubuskie

121 860 zł | Działka | 0.4952 ha.

  • cena: 121 860 zł
Image things

Czerwieńsk, lubuskie

196 500 zł | Mieszkanie | 3 pokoje | 74,90 m2 | 4 piętro

  • cena: 196 500 zł
  • 2 623 za m2