Wysoka, lubuskie

64 191 zł | Działka | 0.0895 ha.

Szczegóły

Oferta przeterminowana

  • Cena: 64 191 zł
  • Miasto: Wysoka
  • Powierzchnia: 0.0895 ha
  • Województwo: lubuskie
  • Liczba działek: 1
  • Numery działek: 080302_5.0016.69/4,
  • Cena za m2: 72 zł
  • Ulica:
  • Tryb sprzedaży: Licytacja komornicza
  • Wadium: 9 170 zł
  • Numer oferty: 465499X1090198661
  • Termin wpłaty wadium: 04-11-2025 - Co to znaczy?

Opis

Szanowni Państwo,
informuję o drugiej licytacji nieruchomości, położonej w miejscowości Wysoka,
w gminie Międzyrzecz, stanowiącej własność
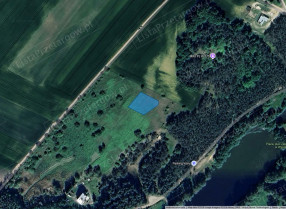
Przedmiotem licytacji jest nieruchomość gruntowa niezabudowana oznaczona numerem
ewidencyjnym: 69/4 o powierzchni 0,0895 hektara wraz z udziałem 1/7 do wydzielonej działki
nr 69/7, stanowiącej drogę wewnętrzną o powierzchni 0,2294 hektara.
Nieruchomość położona jest na terenie, dla którego nie obowiązuje miejscowy plan
zagospodarowania przestrzennego. Według ewidencji gruntów działka oznaczona jest jako grunty
orne.
Przed wydzieleniem działki 69/4, dla działki 69 Burmistrz Międzyrzecza 24 września 2021 roku
wydał decyzję nr 91/2021 o ustaleniu warunków zabudowy dla inwestycji polegającej na budowie
pięciu budynków mieszkalnych jednorodzinnych wraz z infrastrukturą techniczną.
Działka gruntu numer 69/4 nie jest fizycznie wydzielona, wraz z pozostałymi działkami stanowi
jeden teren ogrodzony siatką metalową.
Działka 69/4 jest niezagospodarowana, porośnięta dziką roślinnością trawiastą. Działka o kształcie
regularnym, zbliżonym do kwadratu. Teren z niewielkim spadkiem w stronę północną. Przez teren
działki, przy wschodniej granicy przechodzi sieć energetyczna.
Najbliższe otoczenie działki to grunty rolne, leśne i jezioro.
Dla nieruchomości Sąd Rejonowy w Międzyrzeczu V Wydział Ksiąg Wieczystych prowadzi księgę
wieczystą numer XXXX/XXXXXXXX/X.
Termin
5 listopada 2025 roku, godzina 13:30
Miejsce
Urząd Skarbowy w Międzyrzeczu przy ul. Rynek 12, pokój nr 7
Wartość szacunkowa
91 702,00 zł
Cena wywoławcza
64 191,40 zł to jest 70% sumy oszacowania

Wadium
9 170,20 zł
Wadium proszę wpłacić na rachunek bankowy organu egzekucyjnego
numer 15 1010 1704 0045 9013 9120 0000.
W opisie przelewu należy umieścić treść: wadium do XXXX/XXXXXXXX/X – działka 69/4.
Wadium uznam za złożone, jeżeli jego wpłata zostanie uznana na rachunku bankowym organu
egzekucyjnego najpóźniej w dniu poprzedzającym dzień, w którym ma odbyć się licytacja
publiczna.
Zatrzymam wadium złożone przez licytanta, któremu udzielę przybicia.
Pozostałym licytantom zwrócę wadium nie później, niż w terminie 7 dni roboczych od dnia licytacji.

Image things

Gorzów Wielkopolski, lubuskie

370 000 zł | Działka | 0.1239 ha.

  • cena: 370 000 zł
Image things

Niwiska, lubuskie

114 600 zł | Działka | 0.0974 ha.

  • cena: 114 600 zł
Image things

Kostrzyn Nad Odrą, lubuskie

349 400 zł | Działka | 1.3985 ha.

  • cena: 349 400 zł