Niekłań Wielki, świętokrzyskie

63 000 zł | Działka | 0.1329 ha.

Szczegóły

Oferta przeterminowana

  • Cena: 63 000 zł
  • Miasto: Niekłań Wielki
  • Powierzchnia: 0.1329 ha
  • Województwo: świętokrzyskie
  • Liczba działek: 1
  • Numery działek: 260508_5.0025.877/4,
  • Cena za m2: 47 zł
  • Ulica: Cmentarna
  • Tryb sprzedaży: Przetarg
  • Wadium: 6 300 zł
  • Numer oferty: 85449X200121561
  • Termin wpłaty wadium: 19-01-2021 - Co to znaczy?

Szczegóły

BURMISTRZ STĄPORKOWA
ogłasza pierwszy przetarg ustny nieograniczony na sprzedaż nieruchomości stanowiącej własność Gminy Stąporków

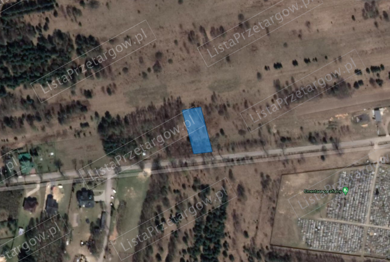
NIEKŁAŃ WIELKI 877/4


Nieruchomość powstała w wyniku podziału geodezyjnego macierzystej działki ewidencyjnej nr 877, dla której została wydana decyzja o warunkach zabudowy znak: BIN.6730.37.2019.G z dnia 23 września 2019r. pod budowę siedmiu budynków mieszkalnych jednorodzinnych
wraz z niezbędną infrastrukturą techniczną. Nieruchomość zlokalizowana w Niekłaniu Wielkim przy ul. Cmentarnej, w odległości 7,5 km od Stąporkowa. Przedmiotowa działka jest niezabudowana, w kształcie regularnym w obrysie przypominającym prostokąt o szerokości 23,5 m. Nieruchomość jest nieogrodzona, niezabudowana, posiada bezpośredni dostęp do asfaltowej drogi publicznej. Ukształtowanie terenu jest płaskie, działka porośnięta wysoką trawą, krzakami oraz pojedynczymi drzewami. Przez działkę przechodzi sieć wodociągowa a w sąsiedztwie znajduje się sieć elektroenergetyczna niskiego napięcia. Bezpośrednie otoczenie nieruchomości stanowią tereny zielone oraz zabudowa mieszkaniowa jednorodzinna, a także kościół wraz z cmentarzem. Przy sprzedaży nieruchomości zostanie obciążona nieodpłatną służebnością na rzecz Gminy
Stąporków lub osób wskazanych przez Gminę polegającą na prawie wstępu na
nieruchomość, celem dokonania konserwacji i napraw sieci wodociągowej znajdującej się na
gruncie.

Wadium wynosi 6 300,00 zł. Warunkiem przystąpienia do przetargu jest wpłacenie wadium w pieniądzu do dnia 19.01.2021r. na konto PKO BP O/Końskie nr 48 1020 2629 0000 9302 0201 3639. Wadium winno znajdować się w dniu 19.01.2021r. na koncie sprzedającego.
Tytuł wpłaty wadium powinien wskazywać nieruchomość, jej położenie oraz uczestnika przetargu

Image things

Kielce, świętokrzyskie

270 000 zł | Mieszkanie | 2 pokoje | 37,10 m2 | 4 piętro

  • cena: 270 000 zł
  • 7 278 za m2
Image things

Chęciny, świętokrzyskie

120 000 zł | Działka | 0.1523 ha.

  • cena: 120 000 zł
Image things

Mokrsko Górne, świętokrzyskie

11 680 zł | Działka | 0.4654 ha.

  • cena: 11 680 zł