Niekłań Wielki, świętokrzyskie

63 000 zł | Działka | 0.1363 ha.

Szczegóły

Oferta przeterminowana

  • Cena: 63 000 zł
  • Miasto: Niekłań Wielki
  • Powierzchnia: 0.1363 ha
  • Województwo: świętokrzyskie
  • Liczba działek: 1
  • Numery działek: 260508_5.0025.877/3,
  • Cena za m2: 46 zł
  • Ulica: Cmentarna
  • Tryb sprzedaży: Przetarg
  • Wadium: 6 300 zł
  • Numer oferty: 85448X200119219
  • Termin wpłaty wadium: 18-01-2021 - Co to znaczy?

Szczegóły

BURMISTRZ STĄPORKOWA
ogłasza pierwszy przetarg ustny nieograniczony na sprzedaż nieruchomości stanowiącej własność Gminy Stąporków

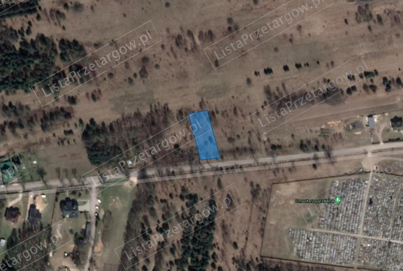
NIEKŁAŃ WIELKI 877/3


Nieruchomość powstała w wyniku podziału geodezyjnego macierzystej działki ewidencyjnej nr 877, dla której została wydana decyzja o warunkach zabudowy znak: BIN.6730.37.2019.G z dnia 23 września 2019r. pod budowę siedmiu budynków mieszkalnych jednorodzinnych wraz z niezbędną infrastrukturą techniczną. Nieruchomość zlokalizowana w Niekłaniu Wielkim przy ul. Cmentarnej, w odległości 7,5 km od Stąporkowa. Przedmiotowa działka jest niezabudowana, w kształcie regularnym w obrysie przypominającym prostokąt o szerokości 23,5 m. Nieruchomość jest nieogrodzona, niezabudowana, posiada bezpośredni dostęp do asfaltowej drogi publicznej. Ukształtowanie terenu jest równe i pląskie, działka porośnięta wysoką trawą, krzakami oraz pojedynczymi drzewami. Przez działkę przechodzi sieć wodociągowa a w sąsiedztwie znajduje się sieć elektroenergetyczna niskiego napięcia. Bezpośrednie otoczenie nieruchomości stanowią tereny zielone oraz zabudowa mieszkaniowa jednorodzinna, a także kościół wraz z cmentarzem. Przy sprzedaży nieruchomości zostanie obciążona nieodpłatną służebnością na rzecz Gminy Stąporków lub osób wskazanych przez Gminę polegającą na prawie wstępu na nieruchomość, celem dokonania konserwacji i napraw sieci wodociągowej znajdującej się na gruncie. Stosownie do przepisów ustawy z dnia 27 marca 2003r. o planowaniu i zagospodarowaniu
Wadium wynosi 6 300,00 zł. Warunkiem przystapienia do przetargu jest wpłacenie wadium w pieniądzu do dnia 19.01.2021r. na konto PKO BP O/Końskie nr 48 1020 2629 0000 9302 0201 3639. Wadium winno znajdować się w dniu 19.01.2021r. na koncie sprzedającego.
Tytuł wpłaty wadium powinien wskazywać nieruchomość, jej położenie oraz uczestnika przetargu.

Image things

Chęciny, świętokrzyskie

120 000 zł | Działka | 0.1523 ha.

  • cena: 120 000 zł
Image things

Hołdowiec, świętokrzyskie

40 000 zł | Działka | 1.09 ha.

  • cena: 40 000 zł
Image things

Kielce, świętokrzyskie

360 750 zł | Działka | 0.5464 ha.

  • cena: 360 750 zł