Nowe Miasteczko, lubuskie

37 600 zł | Działka | 0.1253 ha.

Szczegóły

Oferta przeterminowana

  • Cena: 37 600 zł
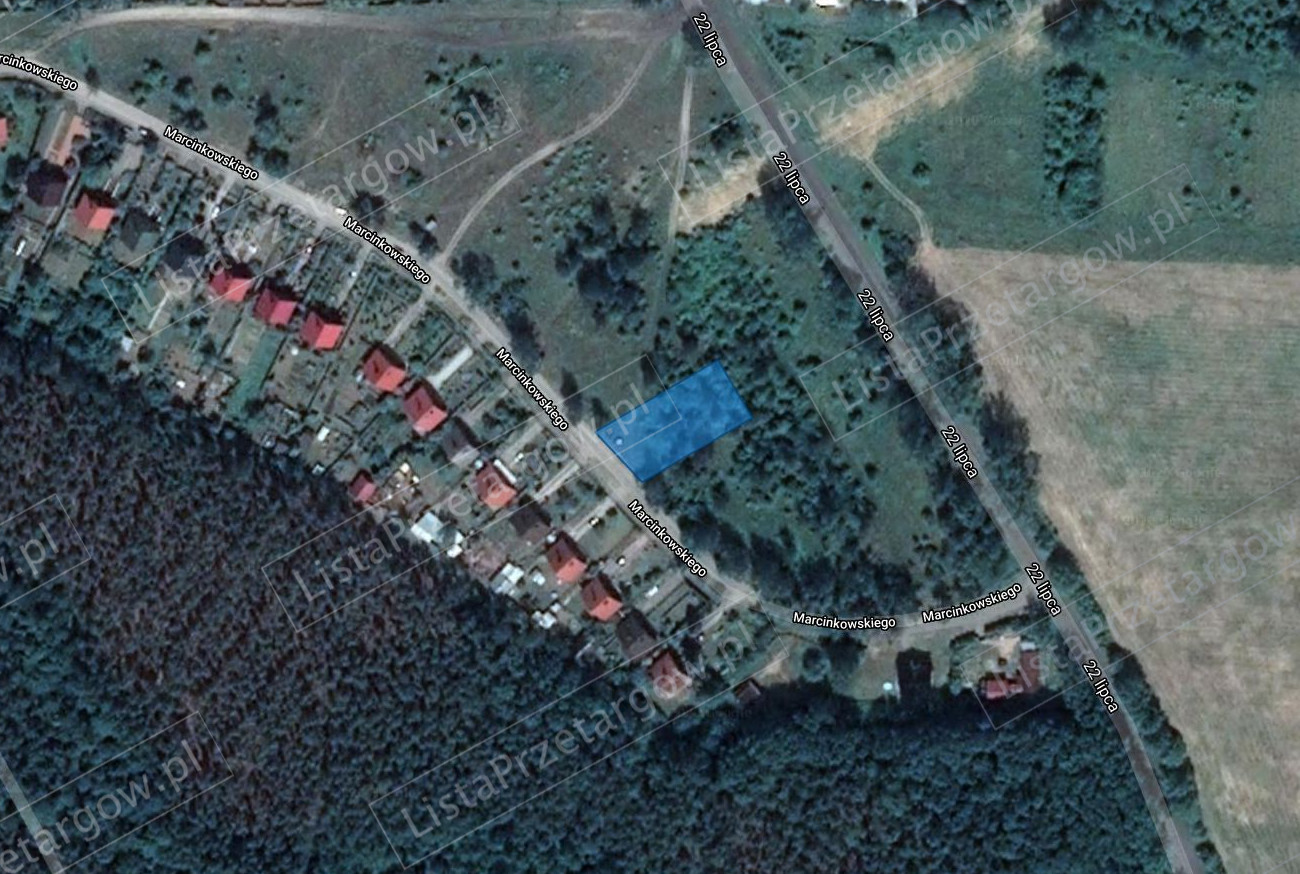
  • Miasto: Nowe Miasteczko
  • Powierzchnia: 0.1253 ha
  • Województwo: lubuskie
  • Liczba działek: 1
  • Numery działek: 080406_4.0001.368/16,
  • Cena za m2: 30 zł
  • Ulica: Marcinkowskiego 368/16
  • Tryb sprzedaży: Przetarg
  • Wadium: 3 800 zł
  • Numer oferty: 67930X159092063
  • Termin wpłaty wadium: 21-09-2020 - Co to znaczy?

Szczegóły

Burmistrz Gminy i Miasta Nowe Miasteczko ogłasza:
I przetarg ustny nieograniczony na sprzedaż prawa własności nieruchomości położonej w Nowym Miasteczku,
stanowiącej własność Gminy Nowe Miasteczko

przy ul. Marcinkowskiego

Przetarg na sprzedaż działki nr 368/16, odbedzie si~ 25.09.2020r. o godz. 10:30

Wadium (w pieniądzu) z podanym numerem działki należv wpłaciĆ do dnja 21,09.2020 r.:

Image things

Sulęcin, lubuskie

47 000 zł | Mieszkanie | 32,20 m2

  • cena: 47 000 zł
  • 1 460 za m2
Image things

Żagań, lubuskie

134 667 zł | Mieszkanie | 46,13 m2

  • cena: 134 667 zł
  • 2 919 za m2
Image things

Gorzów Wielkopolski, lubuskie

650 000 zł | Działka | 0.2652 ha.

  • cena: 650 000 zł