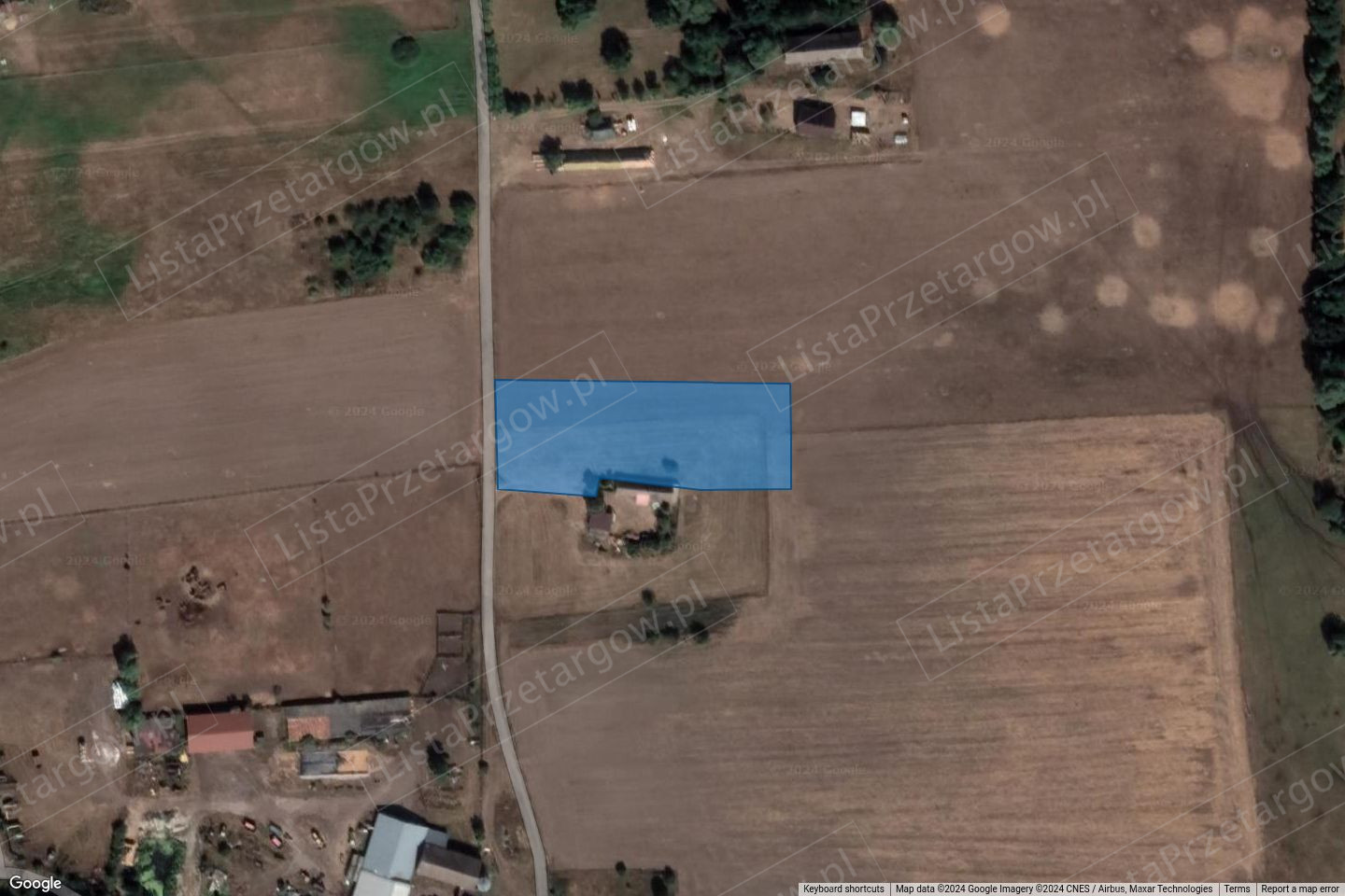
Górki Noteckie, lubuskie

19 900 zł | Działka | 0.472 ha.

Szczegóły

Oferta przeterminowana

  • Cena: 19 900 zł
  • Miasto: Górki Noteckie
  • Powierzchnia: 0.472 ha
  • Województwo: lubuskie
  • Liczba działek: 1
  • Numery działek: 080605_2.0004.450/5,
  • Cena za m2: 4 zł
  • Ulica:
  • Tryb sprzedaży: Przetarg
  • Wadium: 3 980 zł
  • Numer oferty: 370218X867050559
  • Termin wpłaty wadium: 26-08-2024 - Co to znaczy?

Szczegóły

Cena wywoławcza: 19 900,00 zł

Powierzchnia: 0,4720 ha

Typ nieruchomości: rolna



Data przetargu: 2024-08-29

Data publikacji: 2024-08-02

Data zakończenia publikacji: 2024-08-30

Rodzaj przetargu: nieograniczony

Numer oferty: GOR.WKUZ.GZ.4246.180.2024.MK

Oddział terenowy KOWR: OT Gorzów Wlkp.

Typ rozdysponowania: Sprzedaż

Studium Uwarunkowań i Kierunków Zagospodarowania Przestrzennego Gminy: Tak

Informacja o zamiarze sprzedaży: Nie

Ogłoszenie: Tak

Wykaz: Nie

Lokalizacja (w zakresie gruntów Zasobu Własności Rolnej Skarbu Państwa): LUBUSKIE , strzelecko-drezdenecki , Zwierzyn , Górki


Image things

Wschowa, lubuskie

124 000 zł | Działka | 0.0773 ha.

  • cena: 124 000 zł
Image things

Gorzów Wielkopolski, lubuskie

189 000 zł | Mieszkanie | 2 pokoje | 36,43 m2 | 3 piętro

  • cena: 189 000 zł
  • 5 188 za m2
Image things

Dobiegniew, lubuskie

327 200 zł | Działka | 0.5716 ha.

  • cena: 327 200 zł