Sława, lubuskie

135 200 zł | Działka | 0.2098 ha.

Szczegóły

Oferta przeterminowana

  • Cena: 135 200 zł
  • Miasto: Sława
  • Powierzchnia: 0.2098 ha
  • Województwo: lubuskie
  • Liczba działek: 3
  • Numery działek: 081201_4.0001.739/49, 081201_4.0001. 739/51 , 081201_4.0001. 739/60,
  • Cena za m2: 64 zł
  • Ulica:
  • Tryb sprzedaży: Przetarg
  • Wadium: 27 040 zł
  • Numer oferty: 281843X660076309
  • Termin wpłaty wadium: 06-07-2023 - Co to znaczy?

Szczegóły

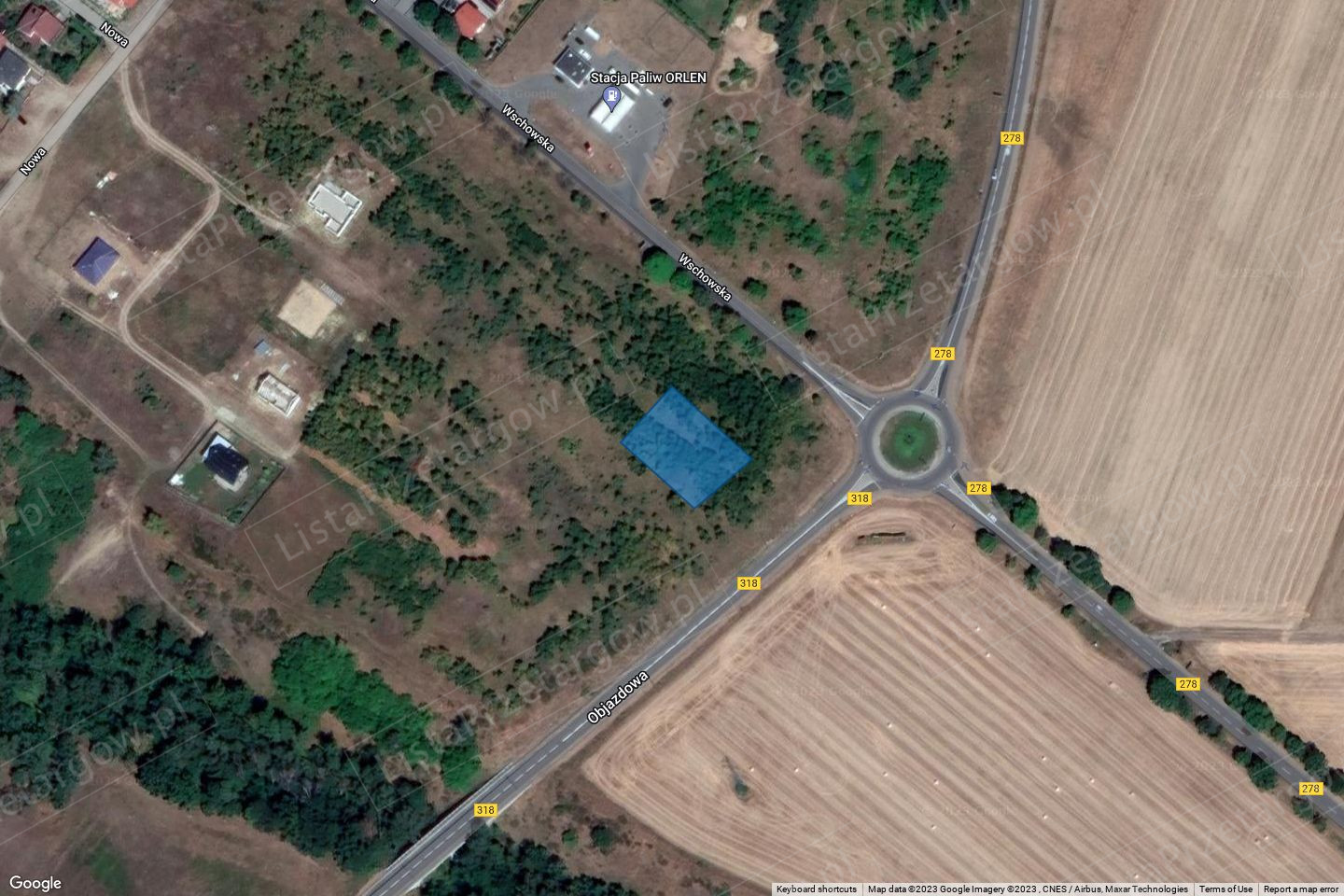
Nieruchomość nierolna niezabudowana, położenie - województwo LUBUSKIE, powiat wschowski, gmina Sława, obręb Sława działki nr: 739/49 o pow. ewid. 0.1224, nr: 739/51 o pow. ewid. 0.3180, nr: 739/60 o pow. ewid. 0.6912. Łączna powierzchnia nieruchomości wynosi 0.2098 ha, w tym w użytkach (RIVa/R - 0,0311 ha; RV/R - 0,1766 ha; RVI/R - 0,0021 ha). Nieruchomość ujawniona jest w księdze wieczystej nr XXXX/XXXXXXXX/X, XXXX/XXXXXXXX/X, XXXX/XXXXXXXX/X.

Image things

Rzepin, lubuskie

174 300 zł | Działka | 0.1162 ha.

  • cena: 174 300 zł
Image things

Dobiegniew, lubuskie

961 000 zł | Działka | 1.8523 ha.

  • cena: 961 000 zł
Image things

Żagań, lubuskie

40 000 zł | Działka | 0.0208 ha.

  • cena: 40 000 zł