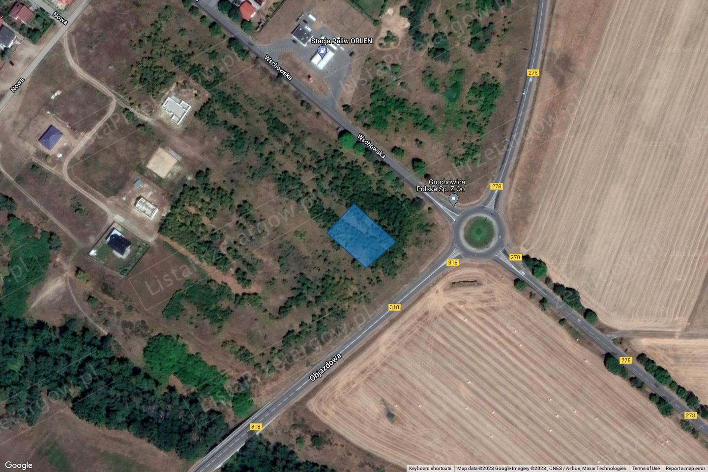
Sława, lubuskie

135 200 zł | Działka | 0.1224 ha.

Szczegóły

Oferta przeterminowana

  • Cena: 135 200 zł
  • Miasto: Sława
  • Powierzchnia: 0.1224 ha
  • Województwo: lubuskie
  • Liczba działek: 1
  • Numery działek: 081201_4.0001.739/49,
  • Cena za m2: 110 zł
  • Ulica:
  • Tryb sprzedaży: Przetarg
  • Wadium: 27 040 zł
  • Numer oferty: 255663X598762749
  • Termin wpłaty wadium: 16-03-2023 - Co to znaczy?

Szczegóły

Oddział Terenowy w Gorzowie Wlkp.
Filia W Zielonej Górze
ogłasza przetarg ustny (licytacja) na sprzedaż nieruchomości. Nieruchomości pochodzą
ze zlikwidowanego Państwowego Gospodarstwa Rolnego w Sławie.

739/49 +
udział 1/29 w
dz. nr 739/60
+ udział 1/5 w
dz. nr 739/51


Przetargi odbędą się w dniu 22 marca 2023 r. rozpoczęcie o godzinie 1000
wg kolejności podanej w ogłoszeniu co 15 min.
w siedzibie OT KOWR w Gorzowie Wlkp. Filii w Zielonej Górze
ul. Chemiczna 2a, Zielona Góra, sala nr 4.

Image things

Pożarów, lubuskie

43 000 zł | Działka | 0.1143 ha.

  • cena: 43 000 zł
Image things

Świebodzin, lubuskie

82 463 zł | Działka | 0.1047 ha.

  • cena: 82 463 zł
Image things

Świebodzin, lubuskie

1 200 000 zł | Działka | 2.0986 ha.

  • cena: 1 200 000 zł