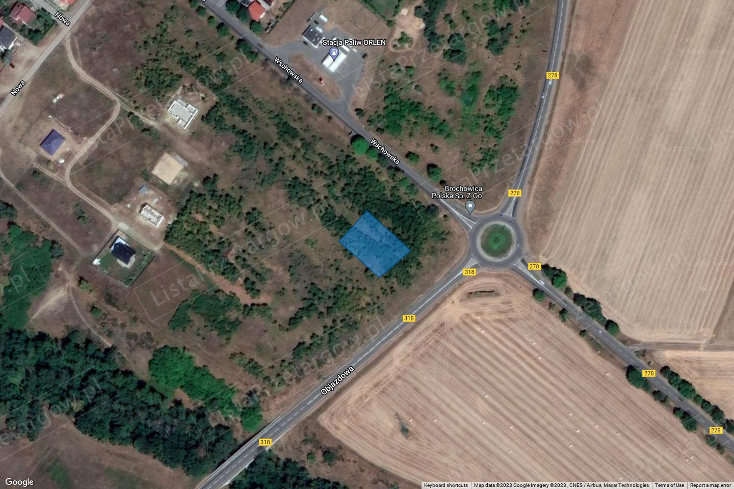
Sława, lubuskie

135 200 zł | Działka | 0.1224 ha.

Szczegóły

Oferta przeterminowana

  • Cena: 135 200 zł
  • Miasto: Sława
  • Powierzchnia: 0.1224 ha
  • Województwo: lubuskie
  • Liczba działek: 1
  • Numery działek: 081201_4.0001.739/49,
  • Cena za m2: 110 zł
  • Ulica:
  • Tryb sprzedaży: Przetarg
  • Wadium: 27 040 zł
  • Numer oferty: 248390X581729383
  • Termin wpłaty wadium: 16-02-2023 - Co to znaczy?

Szczegóły

Oddział Terenowy w Gorzowie Wlkp.
Filia W Zielonej Górze
ogłasza przetarg ustny (licytacja) na sprzedaż nieruchomości. Nieruchomości pochodzą
ze zlikwidowanego Państwowego Gospodarstwa Rolnego w Sławie.

739/49 +
udział 1/29 w
dz. nr 739/60
+ udział 1/5 w
dz. nr 739/51

Przetargi odbędą się w dniu 22 lutego 2023 r. rozpoczęcie o godzinie 1000
wg kolejności podanej w ogłoszeniu co 15 min.
w siedzibie OT KOWR w Gorzowie Wlkp. Filii w Zielonej Górze
ul. Chemiczna 2a, Zielona Góra, sala nr 4.

Warunkiem uczestnictwa w przetargu jest wpłata wadium, w określonej wyżej wysokości, z wyprzedzeniem
tak, aby środki pieniężne znalazły się na koncie organizatora przetargu najpóźniej w dniu 16 lutego
2023 r. przelewem bankowym na konto Krajowego Ośrodka Wsparcia Rolnictwa w Banku Gospodarstwa
Krajowego Oddział w Gorzowie Wlkp. Nr: 09 1130 1222 0030 2043 0820 0003. Dowód wpłaty
wadium należy przedłożyć komisji przetargowej najpóźniej w dniu przetargu z wyjątkiem przetargu
przy użyciu środków komunikacji elektronicznej.

Image things

Leszno Górne, lubuskie

5 000 zł | Działka | 0.0021 ha.

  • cena: 5 000 zł
Image things

Leszno Górne, lubuskie

100 000 zł | Działka | 2.164 ha.

  • cena: 100 000 zł
Image things

Świebodzin, lubuskie

225 000 zł | Mieszkanie | 3 pokoje | 51,70 m2 | 4 piętro

  • cena: 225 000 zł
  • 4 352 za m2